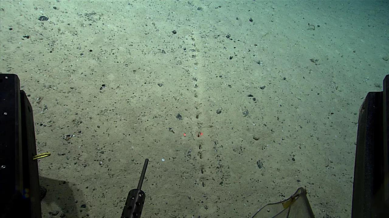
Africa-Press – Liberia. Finding holes on the seafloor would not be all that remarkable, but these new discoveries were scattered in an extraordinarily orderly and uniform pattern, as though they were created by human hands. Yet they were found around 2.5 kilometers (1.6 miles) below the surface of the Atlantic Ocean – in the middle of nowhere.
Marine scientists recently made an intriguing discovery while exploring the mostly uncharted depths of the northern Mid-Atlantic Ridge, finding dozens of rows of tiny holes dug in the sediment, the US National Oceanic and Atmospheric Administration (NOAA) said.
According to a news release, on July 23, scientists on board the NOAA ship Okeanos Explorer utilized a robotic submersible to investigate an underwater volcanic ridge close to mainland Portugal, north of the Azores archipelago.
About a week later, the scientists located four further sets of holes at a distance of 483 kilometers (300 miles) away and a depth of 1.6 kilometers (1 mile).
The scientists noted, however, that the current sighting is not the first time scientists have seen holes like these, which surely adds to the mystery. Researchers have been baffled by them for at least 20 years, according to the NOAA.
In 2004, a sighting in the same area was covered by a scientific article. The holes were described by scientists as “lebensspuren,” which is German for “life traces.” In that paper, researchers Michael Vecchione and Odd Aksel Bergstad stated that although the origin and method of construction of the holes are unknown, the raised sediment may point to digging and removal by an infaunal organism.
Despite the fact that the mysterious phenomenon so deep under the surface of the ocean has been known for a long time, scientists have not been able to find an exhaustive explanation of the reasons for the appearance of such holes, but it is anticipated that the current mission may offer some clarification.
During the most recent expedition, the scientists were able to collect sediment samples from the area around the holes using the submersible’s suctioning equipment in an effort to determine whether or not anything dwells there.
The Mid-Atlantic Ridge is the largest mountain range in the world, stretching 16,000 kilometers (10,000 miles) in length, completely located under the water. The landmark region is the focus of the NOAA Voyage to the Ridge 2022 expedition, which runs from May to September 2022.
Additionally, they are examining the Azores Plateau, which is east of the Mid-Atlantic Ridge and is where three significant tectonic plates intersect, as well as the Charlie-Gibbs Fracture Zone, which breaks the ridge.
Interestingly, on social media, experts asked their followers to theorize who or what could leave such mysterious holes. And the netizens, as it happens, did not disappoint. The missions of Voyage to the Ridge 2022 aim to learn more about the geological context of the region, particularly the origin of the strange holes.
For More News And Analysis About Liberia Follow Africa-Press





