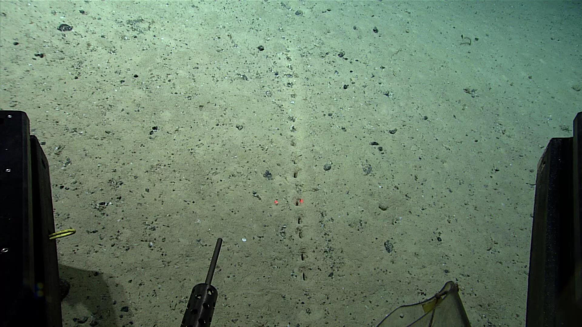
Africa-Press – Mozambique. Strange holes have been discovered by the US National Oceanic and Atmospheric Administration (NOAA) on the seabed around the mid-Atlantic Ridge, hundreds of meters below the surface.
Marine researchers intend to investigate strange holes that were found on the bottom of the Atlantic Ocean. Last month, NOAA released images of small cavities arranged in lines that were discovered on the seabed around the mid-Atlantic Ridge, at a depth of around 2.5 kilometers.
Researchers initially appeared uncertain about what produced the holes, with NOAA even asking people on social media to provide ideas. Now, however, NOAA has collected water samples from the area in an attempt to find some “environmental DNA” that might shed light on this mystery, according to Newsweek.
Vecchione argued that animals are the likely culprits, but in that case, it is still unclear what purpose the holes would serve and how they were created.
“What I think is going on is that something is burrowing under the surface of the mud and periodically poking up chimneys, perhaps to get clean water down into its burrow and make it more habitable,” he suggested.
The other alternative, Vecchione said, is that “something above the sediment is poking down, over and over again, sort of like a shorebird does.” Vecchione pointed out, however, that while there are “a lot of other suggestions,” they still fail to explain the “remarkable” regularity of the holes’ spacing.
For More News And Analysis About Mozambique Follow Africa-Press





